ATTENTION to these first signs of…See More

What started as a small sting turned into a horrifying medical emergency. This terrifying image shows a hand severely swollen and blackened—an advanced infection that spread rapidly within hours. Doctors believe it may have been caused by a spider or insect bite, or possibly an aggressive form of necrotizing fasciitis, also known as flesh-eating bacteria.

Related Posts

She SH0WED Her CameI T0E ln LlVE TV Match, H0LD Y0UR BREATH…

She SH0WED Her CameI T0E ln LlVE TV Match, H0LD Y0UR BREATH…

Here are 25 hilarious and crazy sports fan moments! From fights over souvenirs at an NHL game to Kobe Bryant’s arm sleeve being stolen by another fan,…

5 MINUTES AGO! Prince William heartbreakingly announced the results of Harry and Archie’s genetic DNA test: “We now know who Archie’s biological father is — it is…” See more below

5 MINUTES AGO! Prince William heartbreakingly announced the results of Harry and Archie’s genetic DNA test: “We now know who Archie’s biological father is — it is…” See more below

In a dramatic and emotionally charged development, Prince William has made a shocking public announcement following the results of a confidential DNA test involving Prince Harry and…

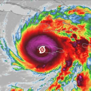
BREAKING NEWS Large Hurricane MELISSA CATEGORY 5 forming… See more

BREAKING NEWS Large Hurricane MELISSA CATEGORY 5 forming… See more

As we reported earlier, Melissa ranks as the most powerful hurricane ever to make a direct strike on Jamaica. Across the broader Atlantic, however, Melissa stood out…

15-Year-Old Figure Skating Star Dies after she was struck by … See more

15-Year-Old Figure Skating Star Dies after she was struck by … See more

A small Italian town is in shock after 15-year-old Matilda Ferrari, a rising figure skating talent, was killed Monday morning. The teen was struck by a cement…

11 minutes ago Steffi Graf, confirmed as…See more

11 minutes ago Steffi Graf, confirmed as…See more

Earlier that day, the Prince of Wales held an investiture ceremony at Windsor Castle, where he handed out more than 50 honors. Among the recipients was Patricia…

Little Johnny gets an F in math

Little Johnny gets an F in math

Most people didn’t enjoy math in school—numbers, fractions, and percentages aren’t exactly easy. Little Johnny was no exception, and his poor multiplication skills got him into trouble….